-Projekt Vorbereitende Untersuchungen - Stadterneuerung Hasenbergl
o
-Auftraggeber Landeshauptstadt München, Planungsreferat, HA3
o
-Architekt A+S, Atelier für Architektur und Stadtplanung,
Prof. A.- Christin Scheiblauer, München
o
-Freiraumplanung Urbanes Wohnen e.V., München, Reiner Schmidt
o
-Aufgabe Das Hasenbergl, eine Wohnsiedlung der Nachkriegszeit, am nördlichen Stadtrand Münchens im sozialen Wohnungsbau errichtet - auf der Grundlage von Wettbewerbsentwürfen der Architekten E.M. Lang und Wertz/Ottow - ist ein untypisches Sanierungsgebiet:Es weist weniger bauliche als strukturelle Mängel auf: Monofunktion, mangelnde Versorgung in Nahbereichszentren, zunehmend soziale Problematik und Überalterung.
Bewohnerverlust gefährdet den Erhalt der Infrastruktureinrichtungen (Schulen, Ladenzentren für 7100 WE auf ca. 100 ha). Das Entwicklungs-konzept von 1989 und daraus abgeleitet vorbereitende Untersuchungen von 1992 mit einer intensiven Bürgerbeteiligung entwarfen Lösungsansätze für eine Umstrukturierung des Gebietes. Planungsziele sind u.a.: Schaffung zusäzlichen, attraktiven Wohnraumes unter Ausnutzung schon versiegelter Flächen, maßvolle Erhöhung der Dichte (GFZ ca.1,0 statt 0,7), Verbesserung des Wohnumfeldes (Zonierung) und des Stadtraumes (Differenzierung von offenen und geschl. Räumen), der Infrastruktur, der öffentichen Erschließung, bessere Vernetzung der Freiräume. Sanierungsgebiet ab 1993 mit Pilotprojekt Kienestraße als Eigentumsmaßnahme; Bund- Länder- Programm die soziale Stadt ab 1999.
o
 
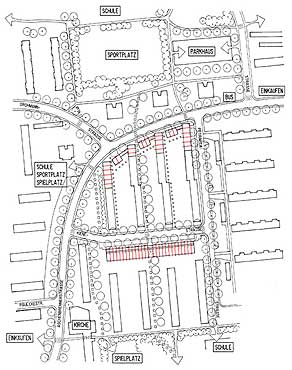
-Hasenbergl / München Stadtteil mit BearbeitungsschwerpunktGrünkonzeptWegevernetzung und AusrichtungAchsen und FluchtenZeilenstrukturSchottenstrukturBearbeitungsschwerpunkteKonzeptFenster schliessen-